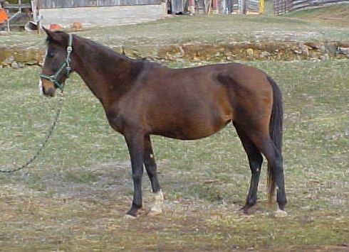
Akhal-Teke Mares

Darpa

1991 metallic bay, Pahlivan x Doigurgush, Arab line

Incredible type, sensational movement, outstanding conformation, and best of all, the ability to reproduce those qualities in her foals. Graded at 8.0 type/8.0 conformation, she continually produces quality offspring with a variety of different stallion choices. Her daughter Daga is the current US National Champion Purebred mare; one of her sons is a 4th-Level dressage horse and successful sire, others are in training for endurance. We purchased her 2001 daughter Dushka specifically because she was Darpa's offspring, before she herself became available to us. We are deeply indebted to Akhal-Texas for the opportunity to use this wonderful mare.

Pedigree Analysis:

Darpa, though an Arab-line mare, has her highest level of inbreeding to Fakirpelvan, though still maintaining a low overall coefficient at 3.9218%. She also has the well-known names of Ag Ishan, Dor Bairam, El, Slutshai, and Mele Kush in her top 11 contributing ancestors.

Offspring:

  • 1995- Gidasp, buckskin stallion, by Gigant 17, owned by Julie Korth of WI. Shown 4th-Level dressage.
  • 1996- Dargi, buckskin mare, by Gigant 17, owner unknown.
  • 1998- Daga, grey mare, by Gigant 17, owned by Freedom Run Farm of Manchester, MI. Broodmare and current US National Champion purebred mare.
  • 1999- Darginka, buckskin mare, by Gigant 17, owned by Kerri-Jo Stewart of BC, Canada.
  • 2001- Dushka, bay mare, by Arbalet, owned by Central Asian Equines. Dam of 2010 Best weanling in Canada.
  • 2006- Dayza, bay mare, by Pan, owned by Grace Milewski of Alberta, Canda.
  • 2009- Gibralter, buckskin gelding, by Gindarkh 13, owned by Joanne Hodeen of VA.

Dogoni

2003 metallic sooty buckskin, Gam x Doba, Ak Sakal line

Dogoni was bred by the Pontecorvos of Akhal-Texas and came to us as a young maiden mare. She is a tall, lanky, long-legged beauty, with almond-shaped eyes and a long, elegant neck set atop a beautiful angular frame. She invariably draws every visitor we have to her first, with her exotic dusky coat and her friendly, curious nature. She is a main-type mare, and an outstanding mover- free, slinky and long, as all good Tekes should be, and we are thrilled that she passes that to her foals as well.

Her sire Gam is by the well-known Ak Sakal line stallion Mamuk, who has sired numerous competition horses, and is out of the lovely and well-producing Gelekul, one of the few Toporbai-line mares in the US. Gam is competing in endurance rides in California, yet has movement suitable for upper-level dressage. Dogoni's dam Doba is a maternal half-sister to our own Darpa and also highly-graded (7.8 type, 9.0 conformation). Dogoni's foals should be ideally suited for endurance or dressage.

Pedigree Analysis:

Dogoni, though technically Ak Sakal line, has a medium level of Inbreeding to the excellent stallion Dornazarbek, son of Yulduz and sire of many outstanding individuals in the breed. However, the next highest contributing ancestors in her pedigree are names the breed was built on, in order : Sere, Gelishikli, Sapar Khan, Slutshai, Almaz, Fakir Sulu, Peren, Gul, Dor Bairam, and Bek Nazar Dor. A truly old-time pedigree, uniquely rare in the breed today.

Offspring:

  • 2009- Delguli, bay mare, by Gindarkh 13, owned by Central Asian Equines.
  • 2013- Alabahar, buckskin colt, by Alp, owned by Central Asian Equines.

Dushka

1986 metallic golden buckskin, Senetir x Dunja, Peren line

Dushka is a medium-type mare, the perfect sporthorse type. She had a stunning filly by Mergen in 2010, retiring from breeding at the ripe old age of 25 years.

Pedigree Analysis:

Dushka has a remarkably low coefficient of inbreeding at 2.2032%, which contains names such as Slutshai, Toporbai, Bek Nazar Dor, Bek Nazar Al, and Everdi Teleke among her top 8 contributing ancestors.

Offspring:

  • Early 1990's- Dushan, buckskin highbred gelding, by Melekush USA, owner unknown.
  • Mid 1990's- Dasha, bay highbred mare, by Melekush USA, owner unknown.
  • 2002- Desana, chestnut mare, by Gindarkh 13, owned by Marla Braun of Hawaii, in training for dressage.
  • 2004- Dar-Khanum, buckskin mare, by Gindarkh 13, owned by Oasis Akhal-Tekes of Waxhaw, NC. Foundation broodmare.
  • 2006- Mejal, bay colt, by Mergen, owned by Central Asian Equines, sadly deceased.
  • 2010- Mydama, chestnut mare, by Mergen, owned by Central Asian Equines.

Dushka II

2001 metallic bay, Arbalet x Darpa, Gelishikli line

Dushka II, or DeeDee as she is known here, is a stunningly elegant and graceful mare, with exceptional conformation and lovely movement, a true testament to her original breeder, Tito Pontecorvo of AkhalTexas. We are forever grateful to have her.

Her pedigree is the Golden Cross, Gelishikli-Arab, she reflects that as a medium type mare, a true sporthorse type. Her sire Arbalet, a son of the excellent Amelit (Adat-Lada), was competing successfully at Preliminary Three-Day eventing, with talent to move up, at the time of his death, and left far too few foals. Her dam Darpa is one of the best producing mares in the US, consistently stamping her type on quality foals. The combination of these two parents has produced a mare who should contribute immensely to increasing the sport potential of the breed in the US through her quality foals. She spent 2 years in Canada producing for Bold Vantage Farm and is the dam of the 2010 best weanling in Canada.

Pedigree Analysis:

Dushka has an inbreeding coefficient of a medium value, at 4.0175%, with her highest contributing ancestor being the outstanding Dor Bairam-line mare Algush, dam of the excellent stallions Adat and Ametist. Present in her inbreeding pedigree following Algush are Absent, Peren, Kir Sakar, and Fakir Sulu.

Offspring:

  • 2009- Drakhma, buckskin gelding by Murgab, owned by Linda Grosenick of Alberta, Canada.
  • 2010- Seljuk, black gelding, by Murgab, owned by Bold Vantage Farm of Alberta, Canada.

Fergan

1987 metallic red bay, Madras x Forgona, El line

Fergan looks and acts half her age at 25 years young. We are thrilled about her addition to our breeding herd, many thanks go to our friends at Magic Valley Ranch in CO for this incredible opportunity. She had a beautiful foal by Mergen in 2011.

Pedigree Analysis:

Fergan's inbreeding coefficient is unbelievably low at 1.535% for a breed with as few in the genepool as the Akhal-Teke. All 8 of her highest contributing ancestors are 100% pure, names such as Slutshai, Bek Nazar Dor, Everdi Teleke, Boinou, and Bek Nazar Al, with others going back as far as the 3rd Studbook. An oldtime pedigree which is reflected in her old-style looks.

Offspring:

  • 2004- MV Fergazel, palomino mare, by Gindarkh 13, owned by Magic Valley Ranch of Livermore, CO. Broodmare.
  • 2005- MV Elfia, light palomino mare, by Aliger, owned by Magic Valley Ranch of Livermore, CO. Broodmare.
  • 2006- MV Ferrari, bay mare, by Arik, owned by Matt Brasher of Idaho. Endurance prospect and broodmare.
  • 2008- Magaryf, buckskin stallion, by Maruk, owned by Oasis Akhal-Tekes of Waxhaw, NC. Foundation breeding stallion.
  • 2011- Menzemek, buckskin stallion, by Mergen, owned by Matt Brasher of Idaho. Endurance prospect.

Gozakhal

1991 dark bay, Komek x Gulsona, Kir Sakar line

Gozakhal was bred in Uzbekistan and imported from Russia in 2001. Gozi has true A-T character: proud, noble, and intelligent, with graceful, ground-covering gaits. She is a dark bay; slim, refined, and fine-boned, with a lovely high-set neck carriage. She is tough, healthy and hardy and passes those excellent qualities on to all her foals.

Gozakhal's pedigree goes straight to Turkmenistan, her elite-graded sire still holds race records there, and she is the only purebred offspring of her dam, who died quite young, making her pedigree unique. She is currently the only purebred of her bloodline, Kir Sakar, in the US. The Kir Sakar line is noted especially for it's good broodmares. Although Gozi does not possess a great deal of exotic type, she continuously gives us lovely foals, with type, elegance, and movement, and though our smallest mare, she rules the herd and has an absolutely unflappable temperament.

Pedigree Analysis:

Gozakhal has a low inbreeding coefficient at 3.8786% and though a Kir Sakar line mare, her highest contributing ancestor is the El-line stallion Almaz. While she counts 7 linefounders in her top 11 highest contributing ancestors, her pedigree does not contain Gelishikli, a real rarity in the breed today, making her an ideal outcross to those stallions with high influence of Gelishikli in their pedigree to maintain low inbreeding percentages.

Offspring:

  • 1999- Murgab, smoky black stallion, by Murager, owned by Bold Vantage Farm of BC, Canada. Gold Medal in Movement among young horses at the 2002 A-T World Championships in Moscow. Herd sire.
  • 2004- Garzhan, bay gelding, by Gindarkh 13, owned by BGD Ranch of Alberta, Canada. In training for endurance.
  • 2005- Dessangul, bay mare, by Doblet, owned by Giles Ardiel of Ontario, Canada. Foxhunter.
  • 2006- Azeri, palomino mare, by Aliger, owned by Giles Ardiel of Ontario, Canada. Foxhunter. Recipient of 2010 Canadian "Future of the Breed" award from mother studbook.
  • 2008- Dag Nazar, buckskin mare, by Maruk, owned by Don and Kate Allen of Cedar Rapids, Iowa. Foundation broodmare.

Guana-Kosteka

2000 metallic bay, Gaigisiz x Akkol, Posman line

Guana is our most exotic broodmare, born in Russia in 2001 and imported in 2004. Her type is outstanding and unmistakeable, she is truly breathtaking, a definite main or racehorse type. A striking head, hooded eye, and delicate, feminine features are set atop a well-balanced and very correct conformation. She is a highly metallic reddish-bay, with a long flowing tail. She is the fastest of the mares, and often races for sheer pleasure in her pasture. Her movement is free and swinging and extremely attractive.

This sensational young mare is the only purebred mare of her Posman bloodline in the US, and is sired by the renowned stallion Gaigisiz (Karaman-Siyagul), whose offspring have won countless World and Russian Championships, important races, and routinely win world sire rankings. Her dam Akkol is a cross of two excellent sport lines, her Arab-line sire Akjol competes through PSG Dressage in Russia, and her dam Ker was a daughter of the excellent Fakirpelvan-line stallion Opal. We are thrilled to have Guana here in the US and we expect many outstanding foals from her. Her first son received excellent marks for both type and conformation at his international inspection, her second colt was sold as a yearling as a sport prospect, and she had a lovely filly by Samovar in June 2011.

Pedigree Analysis:

Guana, though classed as a Posman-line mare, has Slutshai as her highest contributing ascendent and has a low inbreeding coefficient at 2.6737%. She counts the line-founders Skak, Bek Nazar Dor, Dor Bairam, Bek Nazar Al, El, Kir Sakar, Everdi Teleke, and Mele Kush in her top 12 highest contributing ancestors as well as Sere's sire Sinok and Fakirpelvan's sire Fakir Sulu. A golden pedigree.

Offspring:

  • 2006- unnamed buckskin stallion, by Gindarkh 13, owned by Central Asian Equines, sadly deceased.
  • 2008- Galindar, buckskin stallion, by Gindarkh 13, owned by Central Asian Equines.
  • 2009- Gyrgy, bay stallion, by Gindarkh 13, owned by Jessica Drake of TN.
  • 2010- Gulkana, bay mare, by Murgab, owned by Bold Vantage Farm of BC, Canada.
  • 2011- Sidana, buckskin mare, by Samovar, owned by Central Asian Equines.
  • 2013- Mylakat, buckskin colt, by Mergen, owned by Central Asian Equines.
  • 2014- leased to Kopet-Dag Akhal-Tekes in Minnesota, in foal to Sengar.

Amarilys

1998 light buckskin mare, Mamuk x Arameya, Ak Sakal line

We acquired Amarilys from Silk Road Akhal-Tekes after falling in love watching her first trot across our pasture. Her exceptional movement, combined with her great bone and excellent build, is completed by her sweet and gentle character. At close to 16 hands, she has good size and depth as well.

Amarilys's sire Mamuk is also the grandsire of our Dogoni and well-known in the US for his many successful offspring. Her dam is also a daughter of our favorite Amelit. Amarilys has had several excellent offspring, including Kuma, the current Akhal-Teke representative at The Kentucky Horse Park.

Pedigree Analysis:

Amarilys has an excellent low inbreeding coefficient of 2.8077% and her highest contributing ancestor is the famous Sapar Khan, closely followed by Gelishikli, Dor Bairam, and Slutshai, indeed all 12 of her highest contributing ancestors are 100% pure and most are line-founders.

Offspring:

  • 2002- Kuma, smoky black gelding, by Kopeil, owned by The Kentucky Horse Park in Lexington, KY. Akhal-Teke breed representative in the Breed Pavilion.
  • 2005- Marauder, buckskin gelding, by Maverick, owned by Sweet Water Akhal-Tekes of Friday Harbor, WA. In training for eventing.
  • 2006- Karabella, palomino mare by Kopeli, owned by Silk Road Akhal-Tekes of Raymore, MO. Broodmare.
  • 2007- Unnamed, black stallion, by Grog, owned by Silk Road Akhal-Tekes of Raymore, MO. Sadly deceased.
  • 2009- Americas, bay mare, by Garzhan, owned by Silk Road Akhal-Tekes of Raymore, MO.
  • 2013- Altyn Belent, light buckskin colt, by Alp, owned by Central Asian Equines.